小米SUV谍照曝光,疑似撞脸法拉利500万豪车
酷似法拉利,小米汽车第二款车谍照曝光。
车东西6月21日消息,日前,有多家媒体放出了一组疑似小米汽车第二款车的谍照。
疑似小米汽车第二款车的谍照(图源网络)
而谍照一经曝光,就有网友辣评外观称:“捷豹的前脸,哈弗H9的发动机散热孔装饰,特斯拉的屁股。”
网友评价新车造型
更有一些网友即表示小米SUV侧面造型,有一种法拉利Purosangue既视感。
疑似小米汽车第二款车(上)和法拉利Purosangue(下)
从车身侧面来看,二者都是溜背式车身,线头都比较圆润,确实也容易让人联想。
而法拉利这款Purosangue车型售价高达498.8万元,搭载V12引擎,零百加速仅需3.3秒,而目前小米SU7可以做到2.78秒的零百加速,甚至也超过保时捷Taycan Turbo的2.93秒。
法拉利Purosangue
小米汽车的第一款车型SU7已然大获成功,6月交付量有望破万,雷军还官宣冲刺全年12万辆年销。而随着SU7的平稳落地,不少网友开始将目光转向小米的新款车型。
根据此前传言,小米第二款车定位为SUV车型,或于今年年底亮相,2025年开始销售。此外,小米第三款车售价在15万元左右,或有混动版本,预计2026年正式上市。
小米正在持续搅动车市。
01.或支持选装激光雷达,仍主打性能
虽然新车盖着厚厚的伪装,但也能看出整体造型偏向溜背式轿跑SUV,整体线条十分顺滑。
新车车头造型修长,前机舱盖采用蚌壳式样,同时前车灯那里还凹进去了一些,由此可以推测,小米SUV前车灯可能会存在风道设计,前脸可能较小米SU7有些许差别。
谍照曝光新车前脸(图源网络)
此外,结合新车无边框后视镜、无边框车门等设计要素来看,小米新车可能会极大降低风阻。而新车尾部,从造型上判断,新车很有可能沿袭了小米SU7的尾灯设计。
谍照曝光新车车尾(图源网络)
车身侧面,可以看到侧面摄像头和五辐式的轮圈,这些特点和小米SU7相似。
整体上来看,新车采用了长前悬,短后悬的设计,整体视觉重心比较低,这说明,虽然这款车作为一辆SUV,但是空间表现或许不是小米主要追求的目标。
而黄色卡钳和小米SU7比较相似,也更凸显了其性能车的定位。
此外,谍照也曝光了两款不同的智驾车型,一款头顶鹅卵型激光雷达,和小米SU7现在的激光雷达造型十分相似,而另一款则不带激光雷达。
谍照曝光两款不同智驾车型(图源网络)
02.小米二期工厂进展曝光,混动车或为销量担当
关于小米汽车的新车规划,小米官方依旧十分注意保密,不过这也无法打消外界对于小米汽车的憧憬与好奇。
此前,在2024年一季度财报电话会上,卢伟冰透露,小米正在开发其他车型,但目前小米汽车的主要精力集中在小米SU7的交付上。
他强调,小米汽车对新车型的信息实行严格的保密政策,目前尚未到公开披露的时机。但从目前产能饱和的状态来看,小米发布新车将面临没有产能可用的状态,因此,进行工厂扩张也是当务之急。
小米汽车超级工厂(图源水印)
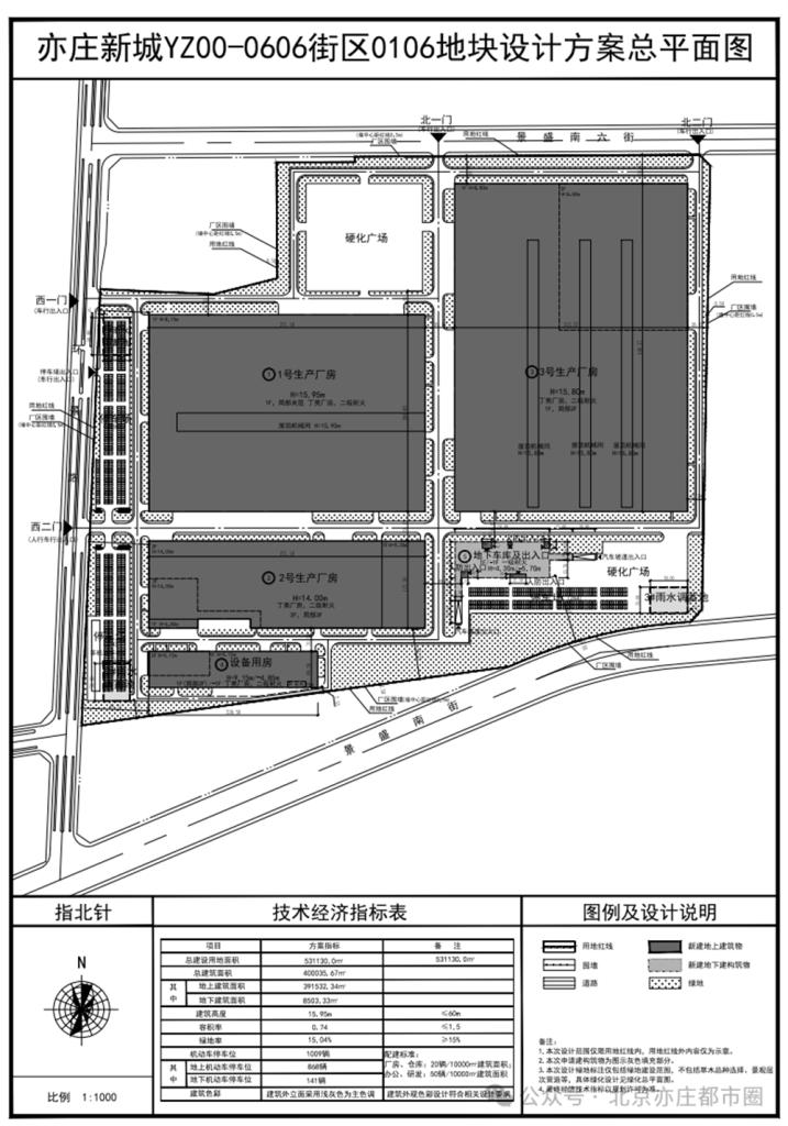
6月14日,北京亦庄都市圈发布了小米汽车二期工厂地块进展。
小米汽车二期工厂地块进展(图源水印)
项目位于亦庄新城YZ00-0606街区0106地块, 规划范围东至YZ00-0606-0108地块,南至景盛南街及YZ00-0606-0101地块,西至环景路及YZ00-0606-0101地块,北至景盛南六街及YZ00-0606-0101地块。总用地面积为531130.0平方米,规划用地性质为M1一类工业用地。
中国汽车工业工程有限公司响应了该地块设计方案征集,设计方案满足容积率不大于 1.5、建筑高度不大于60米、绿地率不小于15%的征集要求。机动车停车位满足厂房、仓库类建筑配建停车位不低于20车位/万平方米建筑面积,办公、研发类建筑配建停车位不低于50车位/万平方米建筑面积。建筑外观色彩符合相关色彩设计要求。主要建设内容为生产厂房、设备用房、地下车库等。
可以说,小米二期超级工厂建设也在持续推进。
结合此前网上爆料的小米第二款车型可能在年内发布,以及小米汽车超级工厂二期计划于2024年动工,2025年完工的消息综合来看,新厂动工和新车发布的节奏也是有一定合理性的。小米二期工厂很可能投产小米第二款车、第三款车。
目前小米汽车第二款车相关消息持续曝光,而也有消息表示,小米汽车第三款车定位为售价在15万元左右的亲民车型,预计2026年正式上市。而根据36氪报道,小米第三款车遵循严格的成本导向,市场多次传言,小米第三款车为混动车型,而欣旺达旗下动力电池公司“欣旺达动力”已经拿下小米第三款车型的电池定点项目。
这也能跟此前线索串联起来。近日,一张关于小米汽车员工招聘的截图在网上流传。
这份简历上写到,该员工负责相关车型为小米汽车首个混动平台的首个车型,对标销量靠前的车型,是公司后续销量担当的车型,成本性能要求非常高。
一则简历信息显示小米混动首款车为销量担当(图源网络)
并且小米也在公司招聘官网,发布多个与混动车型相关的职位,如“整车与系统工程师-热管理系统”等岗位,由此也能看出小米正在为混动车型做准备。
小米正在招聘“整车与系统工程师-热管理系统”(图源网络)
03.结语:小米持续搅动车圈
6月销量瞄准万辆,9个月销量冲刺12万辆,无论结果能否实现,小米汽车自发布以来的战绩的确给车圈带来了一些震撼。
更何况小米今年完全是在拿一款车打市场,却已经冲击到了极氪、智界、小鹏等品牌旗下车型,而小米接下来的新车规划很可能还会涉及混动产品,这也就意味着小米能打的牌将越来越多,小米汽车在车圈正在持续释放影响力。
本文来自微信公众号“车东西”(ID:chedongxi),作者:迩言,编辑:志豪,36氪经授权发布。















